© 2026 LEHIGHVALLEYNEWS.COM
Your Local News | Allentown, Bethlehem & Easton
Play Live Radio
Next Up:
0:00
0:00
Available On Air Stations
Parkland News

North Whitehall to hold hearing on controversial housing development

IMG_4260.jpg
Olivia Marble
/
LehighValleyNews.com
The crowd at the Nov. 28 North Whitehall Planning Commission meeting. Most said they attended because of the proposed Rising Sun housing development.

NORTH WHITEHALL TWP., Pa. — A controversial housing development proposal will soon be the subject of a township hearing.

The township Board of Supervisors will host a conditional use hearing on Wednesday, June 5, for a revised plan of the Rising Sun subdivision, which would have 114 single-family homes on about 100 acres.

The subdivision would be at 1321 Rising Sun Road, between Fells Creek and the Lehigh River. The land now is used for agriculture.

The original plan had about the same number of homes, but on larger lot sizes. It drew concerns from residents about the increased number of cars the project would bring to Rising Sun Road and Route 145 and potential runoff into the nearby Fells Creek and Lehigh River.

The new plan has smaller lot sizes and about 45 acres of open space on either size of the development, leaving a buffer between the homes and the bodies of water.

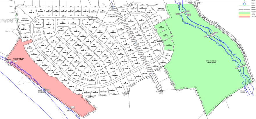
rising sun revised plan.png
Courtesy
/
North Whitehall Township
The revised plan for the Rising Sun Subdivision in North Whitehall Township.

But the new plan, unlike the original one, is not permitted “by right” in the zoning district of the property.

That means township supervisors first have to approve the plan through a conditional use hearing before it can move forward with the typical land development process.

The hearing will be held at 7 p.m. in the township municipal building at 3256 Levans Road.

What is a conditional use hearing?

Township Solicitor Thomas Dinkelacker said he could not provide specific details about the Rising Sun hearing but did give a general explanation of the conditional use process.

A conditional use hearing is a special type of approval process, he said. It happens for certain types of land uses that, according to the municipal government, need a more thorough review than others.

During the hearing, the developer has to prove that their plan meets certain conditions laid out in the municipality’s zoning ordinance.

"The objector really has a heightened burden of proof.”
Township solicitor Thomas Dinkelacker

Dinkelacker said that anyone who objects to the plan has to have hard evidence, rather than speculation, that the plan does not meet those conditions.

“If you're opposing it, you’ve got to say, ‘There's something that's particularly bad about this particular use in this location,’ or whatever it might be,” Dinkelacker said. “So the objector really has a heightened burden of proof.”

The public can comment during these hearings, but only those with a specific interest in the process — for example, someone who lives next to the property — can be official parties in the hearing, Dinkelacker said.