© 2026 LEHIGHVALLEYNEWS.COM
Your Local News | Allentown, Bethlehem & Easton
Play Live Radio
Next Up:
0:00
0:00
Available On Air Stations
East Penn News

More parts of Lehigh Valley Town Center plan get planners' recommendation

TownCenterJuly1.jpg
Courtesy
/
Luke Jaindl
A rendering of a pedestrian area of the Lehigh Valley Town Center project, which was given conditional use approval by the Lower Macungie Township Board of Commissioners.

LOWER MACUNGIE TOWNSHIP, Pa. — Lower Macungie's Planning Commission took a look at the massive Lehigh Valley Town Center project again Tuesday, focusing on the facility's roads and stormwater management capabilities.

In short, things are moving for the project, but officials are — figuratively and literally — just at the street level about what it actually will shape up to be.

"Right now we're really focusing on the road and the base and the infrastructure. We're at the point now where we are quite comfortable in recommending a conditional recommendation to the board for consideration on this."
Lower Macungie Director of Planning and Community Development Nate Jones

"Right now we're really focusing on the road and the base and the infrastructure," Lower Macungie Director of Planning and Community Development Nate Jones said.

"We're at the point now where we are quite comfortable in recommending a conditional recommendation to the board for consideration on this."

The quick meeting looked at plans proposing a service road connecting to Cedarbrook Road, reconfiguring it to create a new T-intersection and stormwater basins.

Each requires township waivers because of variations from established regulations.

The private road proposed requires a waiver because of requirements related to a nearby cemetery, which the township and developers said would not be disturbed.

Also listed as required is further approval from other organizations because of easement conflicts, water access and other needs, according to engineering documents shared with the planners.

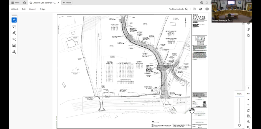
Screenshot 2024-06-12 162310.png
Public Document
/
Lower Macungie Township
A screenshot of planned road adjustments shown at the Lower Macungie Township Planning Commission meeting.

The project still has several levels of final approval ahead of it, with the plans expected to appear before the township board of commissioners in coming meetings for possible approval.

Further required reviews for the project also are ongoing prior to additional approvals, such as with the state Transportation Department and requirements related to stormwater management.

Topgolf to open next year; rest TBD

According to recent plans, the 58.8-acre mixed-use complex is set to have 550 apartment units across four six-story buildings, a 100-room hotel and 70,000 square feet of office space.

Also, 65,000 square feet of medical office space, a 12,500-square-foot grocery store, 170,000 square feet of retail space, a parking garage, a 20,000-square-foot restaurant, and a Topgolf facility.

"This is a technical review at this point. We've really just been going over engineering items for quite some time. Traffic and stormwater tend to govern any project."
Lower Macungie Director of Planning and Community Development Nate Jones

It will be on land bordering Schantz Road, Cedarbrook Road, state Route 222 and Interstate 78 in Lower Macungie Township.

The final plans for the lot containing Topgolf were given approval in February, bringing the 11.5-acre entertainment center on track for construction this fall and opening in 2025.

As for the rest of the project, zoning regulations were revised to allow for the project last year, along with conditional use approval.

Lehigh Valley Town Center June 2023
Courtesy
/
Luke Jaindl
A rendering of the Lehigh Valley Town Center project was shown to the Lower Macungie Township Planning Commission on June 13.

Now, officials of the township and the project are into details related to how the land will be developed.

"This is a technical review at this point," Jones said. "We've really just been going over engineering items for quite some time. Traffic and stormwater tend to govern any project."

John McRoberts of the Pidcock Company said it is having "close to weekly" meetings with PennDOT and are full speed ahead regarding driveway and roadway configurations.

Jones confirmed the township also is having monthly meetings with the Jaindl Land Company-led town center project leadership.