UPPER MACUNGIE TWP., Pa. — There are plans to expand three industrial buildings in Upper Macungie that soon will be reviewed by township officials.
The first is a proposed expansion of XPO Logistics, a freight transportation company at 7649 Penn Drive. The plan is proposed as a warehouse, but the building functions as a trucking terminal.
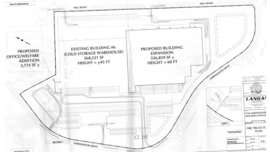
The second is the proposed expansion of Americold Logistics’ cold storage warehouse at 7150 Ambassador Drive. The warehouse stores frozen food.

Finally, ATAS International, a metal wall and roof manufacturer, is looking to expand its facility at 6642 Grant Way.
The Upper Macungie Township Planning Commission on Wednesday recommended township supervisors grant conditional use approval to the ATAS International expansion.
The expansion would add about 53,900 square feet, approximately doubling the size of the building.
ATAS International Vice President Jim Bus said the expansion would add about four truck trips per day, adding up to about 24 total round-trip truck trips. He said a traffic review found no significant impact to nearby intersections.
Supervisors will make the final decision about whether to grant conditional use approval.
The XPO Logistics expansion was on Wednesday’s agenda, but the applicant tabled themselves, meaning they will go before the commission at a later date.
Americold expansion
The Americold expansion is slated to go before the Planning Commission at a special meeting on Monday, Feb. 26.
The plan was granted a special exception by the township Zoning Hearing Board in December, and now will go through the typical land development process.
The expansion would be attached to the existing, 45-foot-tall, 268,521-square-foot building. Plans also include a new detached 3,774-square-foot office/welfare building.
The expansion would double the number of truck trips per day to 490, representatives with the applicant said.
The plan is in the township’s Light Industrial zoning district. Warehousing is permitted by “special exception” in that district, meaning it needs to be approved by township zoners.
When a warehouse is allowed by “special exception,” that means it is an allowed use as long as the property owner proves the warehouses will not harm the township any more than another warehouse plan, Assistant Township Manager Kal Sostarecz said previously.
XPO Logistics expansion
At a meeting in May, planners were concerned that the XPO Logistics expansion would cause more noise.
The building is near day care center Allentown KinderCare and two hotels, Staybridge Suites Allentown West and Sleep Inn Allentown-Fogelsville. It is behind Starlight Diner.
“Bottom line is, we understand you're going to expand, but you’re going too big."Upper Macungie Planning Commission member Tim Helmer, at the May meeting
The commission also told the company representatives that their planned expansion was too large and asked them to revise the plan.
“Bottom line is, we understand you're going to expand, but you’re going too big,” Planning Commission member Tim Helmer said at the time.
But the expansion plan on Wednesday’s agenda was slightly larger than what the Planning Commission previously reviewed — about 21,000 square feet.
XPO Logistics will present a revised plan to the commission at a future meeting.