NORTH WHITEHALL TWP., Pa. — A controversial housing development may now go to court.
North Whitehall Board of Supervisors on Monday voted to deny the preliminary plan for 55-plus residential community Strawberry Acres.
The vote was 2-1, with Supervisor Ronald Heintzelman dissenting.
“We bend over backwards for these guys. How much further can we go?”Board Vice Chairman Dennis Klusaritz
Board Vice Chairman Dennis Klusaritz said he voted to deny the plan because the developer has been “dragging their feet” in amending their plan to fit township rules.
“We bend over backward for these guys,” Klusartiz said. “How much further can we go?”
Supervisors denied a waiver for the plan in December that would have allowed vertical slopes in the plan’s stormwater basins. The developer has not yet submitted a complete revised plan.
Peter Lehr, the lawyer representing the developer, said now that the board has denied the preliminary plan, he will appeal its decision to deny that waiver for the plan to Lehigh County Court.
The Strawberry Acres housing development first was proposed in 2013 by property owner and New Jersey developer Piyush Patel. It since has gotten conditional use approval.
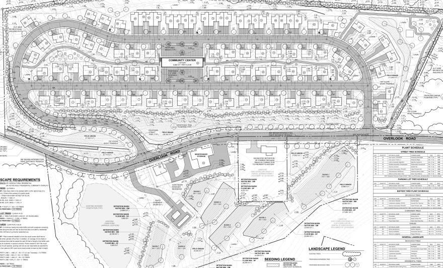
The development would have 89 residential units and a community center. It would be built on the former location of the Strawberry Acres orchard, which now is closed.
Lehr said he will submit the appeal within the next month.
Why was the plan denied?
The plan for Strawberry Acres currently uses vertical retaining walls, which the township does not allow, as part of its stormwater management system.
The developer requested the township grant a waiver to allow the walls. Waivers can only be granted if the developer proves there is an “undue hardship,” or a specific reason why it is too difficult to meet the typical requirement.
Lehr previously argued that the vertical retaining walls were needed because of the topography of the property and that the township had given similar waivers before.

But the supervisors denied that waiver in December, following the township Planning Commission’s recommendation. They requested the developer submit a revised plan that complied with township laws.
The developer submitted an incomplete revised plan in April. Drew Nyman, an engineer with the developer, said the team did not have time to finish it because they had to redesign the entire plan.
“Without the retaining walls, you basically have to scrap and do over,” Nyman said.
'Live with a terrible design'
The plan supervisors denied at Monday’s meeting was the same one that was presented in December, with the vertical retaining walls.
The township’s conflict solicitor, Andrew Shantz, said the developer still could submit a revised plan, even with the denial.
"We're gonna have to live with a terrible design."Planning Commission member Richard Semmel
Lehr said now that the plan is denied, he can appeal the waiver decision, which he thought was unlawful. He said in an interview that if the court rules with him, the township will likely have to approve the plan with the vertical slopes.
“We are fairly confident that was the only basis for denial,” Lehr said.
Planning Commission member Richard Semmel said during public comment that he worries the supervisors were “jeopardizing some of the work the [Planning Commission] has done” by denying the plan.
“If they take legal action, the vertical walls — it sounds like it's going to come back," Semmel said. "And then we're gonna have to live with a terrible design."
Board Chairman Al Geosits’ comment on the potential litigation was, “We’ll see how it plays out.”
Township building renovations

The township building renovations will begin soon, which will change some of its operations.
Starting June 19, meetings of the Board of Supervisors, Zoning Hearing Board and Planning Commission will be held at the Schnecksville Fire Company in the banquet hall.
The July Board of Supervisors meeting will be on July 8 instead of the first Monday of the month.
Starting June 24, township administration staff will be located at the temporary Municipal Office at 4110 Independence Drive during the township building renovation.
Supervisors voted Monday to award bids for the project, totaling at just over $5 million.