UPPER MACUNGIE TWP., Pa. — A controversial housing development is in its final stages of revisions.
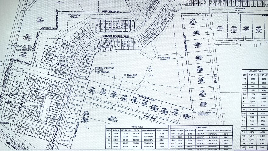
Upper Macungie Planning Commission on Wednesday reviewed a preliminary/final plan for Sunset Orchards, a proposed housing development near Shantz and Ruppsville roads.
The property used to be a tree farm, but now is unoccupied. It is zoned Medium Low Density Residential, and the project is a permitted use by right.
The plan has been revised since the last time it was reviewed to slightly reduce the number of housing units and add more open space.
The new plan has a total of 205 units — 197 townhomes and eight twin homes. It increases the amount of open space from 5 acres to 15 acres.
Jeffrey Strauss, Entitlements Owner with developer D.R. Horton, said the price range for the homes will be about $400,000.

Many residents expressed concerns about the plan when it first was proposed in October 2022.
The Planning Commission and residents still raised some issues with the revised plan, including stormwater management, traffic control and potential noise and light pollution from the new properties.
The Planning Commission tabled the plan, meaning it will take action on it at a future meeting.
‘Pocket park,’ changed intersection
Strauss said his company wants to donate the 15 acres of open space to the township to create a “pocket park,” or a small recreation area.
Some residents asked about the traffic the park could bring if the township approves it, but Strauss said he does not think it will generate any traffic.
"It's not a location that somebody's going to purposely drive to.”Jeffrey Strauss, Entitlements Owner with developer D.R. Horton
“It's a more pedestrian type [area]…It's not a location that somebody's going to purposely drive to,” Strauss said.
D.R. Horton also plans to widen the road near the intersection of Shantz and Ruppsville roads as a way to alleviate some of the traffic congestion in the area.
Township Engineer David Alban Jr. said the township then “most likely” will add a right-turn lane on Shantz Road, then potentially apply to the state Transportation Department to create a left-turn lane going southbound.
Strauss said he anticipates construction could start as early as spring.